Târgu Frumos | Judeţ: Iaşi | Punct: Baza Pătule | Anul: 2004


Descriere:

Anul cercetarii:
2004
Perioade:
Preistorie;
Epoci:
Neolitic; Eneolitic; Epoca bronzului timpuriu;
Categorie:
Domestic;
Tipuri de sit:
Tip neprecizat;
Cod RAN:
| 95480.01 |
Județ:
Iaşi
Unitate administrativă:
or. Târgu Frumos
Localitate:
Târgu Frumos
Punct:
Baza Pătule
Localizare:

Instituții și
Persoane implicate:
Nume Prenume Rol Instituție
Cotiugă Vasile participant Universitatea "Alexandru Ioan Cuza", Iaşi
Lazanu Ciprian Cătălin participant Universitatea "Alexandru Ioan Cuza", Iaşi
Minea Bogdan participant Universitatea "Alexandru Ioan Cuza", Iaşi
Boghian Dumitru responsabil Universitatea "Ştefan cel Mare", Suceava
Raport:
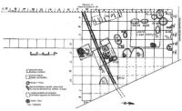
În perioada 21 iunie - 3 august 2004 au continuat cercetările arheologice sistematice pe şantierul arheologic-şcoală de la Târgu Frumos–"Baza Pătule" (a XV-a campanie), cu participarea studenţilor practicanţi de la Facultăţile de Istorie ale UAIC Iaşi şi UStcM Suceava (finanţarea a fost asigurată de Fundaţia "Cucuteni pentru Mileniul III"). Cercetarea din anul 2004 a urmărit completarea datelor referitoare la planimetria celei mai întinse aşezări Precucuteni III din România, prin continuarea investigaţiilor în sectoarele A şi D, pe care intenţionăm să le explorăm integral. Astfel, în sectorul A au fost investigate şirurile de casete A-G/7-10, cu o suprafaţă de aproximativ 170 mp, iar în sectorul D şanţul S. XII, cu o suprafaţă de cca. 95 mp, continuându-se cercetarea unor complexe arheologice (locuinţe şi gropi menajere) depistate prin săpăturile anterioare, în cele trei niveluri de locuire ale aşezării. În sectorul A, datorită complexelor deosebite apărute în nivelul superior al aşezării (nivelul III), a căror cercetare a necesitat un timp mai îndelungat, nu s-a reuşit investigarea suprafeţei planificate până la stratul steril arheologic. Astfel, doar în casetele D-G/7 cercetarea a fost încheiată, ajungându-se la stratul steril. În casetele A-B/7-10 cercetarea s-a oprit la partea superioară a primului nivel de locuire al aşezării, pentru ca în casetele D-G/8-10 şi C/10 investigaţiile să se oprească la partea superioară a nivelului mijlociu (II). Cele mai importante complexe arheologice descoperite în campania din 2004 au fost identificate în ultimul nivel de locuire (III), acestea fiind reprezentate de resturile a două locuinţe cu podeaua realizată pe o structură de bârne despicate. Prima locuinţă, L. 13, a fost identificată încă din campania anterioară, când a fost surprins un colţ al acesteia în casetele D-E/11. În 2004, cercetarea locuinţei a continuat în casetele D-E/8-10, C/10 şi F/8-9, reuşindu-se investigarea ei în întregime. Locuinţa, orientată NNE-SSV, se prezenta ca o masă mai mult sau mai puţin compactă de lutuieli arse de la pereţi şi podea, de formă dreptunghiulară, cu laturile de aproximativ 10 şi 4 m. Lutuielile de la pereţi, mai puţine şi răspândite mai ales spre marginile locuinţei, se prezentau sub forma unor mici bulgări de lut ars, cu foarte multe paie tocate şi pleavă de cereale în compoziţie. Multe dintre ele au păstrat amprente de nuiele, cu diametrul de 1,5–2 cm. Spre marginea de NNE, un fragment mare de lutuială de perete a păstrat şase amprente de nuiele paralele, cu diametrele între 1,5 şi 2 cm, dispuse una lângă alta. De la podea s-au păstrat foarte multe resturi, mai mult sau mai puţin compacte, fiind reprezentate de lipituri de lut cu grosimea cuprinsă între 4 şi 5 cm. Acestea păstrau, la partea inferioară, perpendicular pe axul lung al locuinţei, amprente de bârne cu diametrul de 8-15 cm sau de nuiele cu diametrul de 2-4 cm, ceea ce demonstrează existenţa unei structuri de bârne despicate şi nuiele dispuse în spaţiile dintre bârne sau chiar pe bârne. În partea de N a locuinţei, pe lângă peretele de SE, s-au descoperit resturile unei vetre ovale, cu diametrul mare de 1,15 m. Aceasta a fost realizată într-o zonă rezervată în podeaua locuinţei, fiind construită direct pe pământ, pe o lentilă de humus amestecat cu fragmente ceramice mici şi lutuieli arse. A avut o singură fază, fiind realizată dintr-o lutuială, mai groasă la mijloc (cca. 5 cm) şi mai subţire spre margine (cca. 2 cm). Spre N, marginea vetrei se ridică foarte puţin, căpătând aspectul unei mici gardini. Pe podeaua locuinţei au fost descoperite mai multe resturi de râşniţe, fragmente ceramice, piese litice, precum şi oase de animale. La aproximativ 1 m distanţă de peretele sud-estic al L. 13, puţin mai spre N, a fost descoperită o nouă locuinţă, L. 14, cercetându-se doar partea sa vestică, cealaltă continuând sub pătulul nr. 7. Marginea vestică, care a fost surprinsă în întregime, a avut aproximativ 7 m lungime. Şi aceasta a aparţinut ultimului nivel de locuire (III), având podeaua realizată, de asemenea, pe o structură de bârne despicate, dispuse perpendicular pe axul lung al locuinţei. În campania din 2004 a fost descoperit un nou tip de complex, nemaiîntâlnit până acum în aşezarea de la Târgu Frumos, anume o vatră exterioară. Aceasta a fost descoperită în caseta A/7, la partea superioară a nivelului mijlociu (II). De remarcat că în jurul vetrei au fost descoperite foarte puţine materiale arheologice. Se remarcă doar, la aproximativ un metru de vatră, o gresie de mari dimensiuni, de formă triunghiulară, fără a prezenta alveola specifică râşniţelor, reprezentând, probabil, o nicovală. Vatra, deranjată din vechime, a avut probabil o formă ovală, diametrele păstrate fiind de 0,88 şi 0,62 m. A cunoscut două faze de refacere. A fost amenajată pe un strat de pământ destul de humos, care cuprindea câteva fragmente ceramice şi lutuieli de vatră mai vechi, fără a putea vorbi de o structură special amenajată. Prima etapă a vetrei a constat dintr-un strat de lut nisipos, cu bobul foarte fin, cu o grosime de aproximativ 2 cm, întins pe o lungime de aproximativ 0,4 m. Suprafaţa vetrei, puternic arsă, prezenta denivelări, fapt care a condus la realizarea unei prime refaceri, prin întinderea unui strat nou de lut, cu grosimea tot de 2 cm. Refacerea vetrei a însemnat şi mărirea acesteia, partea centrală prezentând acum o mică bombare. A doua refacere a constat tot dintr-o nouă lutuire a vetrei, cu un strat gros de 1,5-2,5 cm, vatra ajungând acum la dimensiunile maxime. De remarcat că suprafaţa nouă a vetrei nu mai prezenta o ardere la roşu, ci o culoare gălbuie, datorată, probabil, unei arderi mai puţin intense. Tot în sectorul A, în campania din 2004 a continuat cercetarea a două gropi menajere, descoperite încă din 2003. Prima groapă, nr. 49, identificată, în 2003, în casetele E-F/6, a apărut în casetele E-F/7, fiind săpată din nivelul I. La partea superioară a avut o formă ovală, cu diametrul E-V de 3,45 m, în profil prezentând o formă uşor tronconică. În umplutura sa, alcătuită dintr-un pământ brun închis, s-au descoperit cu deosebire oase de animale şi fragmente ceramice decorate cu motive incizate. Groapa nr. 51, identificată, în 2003, în casetele F-G/6, a continuat spre S, în casetele F-G/7. A fost săpată tot din nivelul I, având o formă ovală, cu diametru N-S de aproximativ 4 m. Se adâncea până la 1,64 m de la nivelul actual de călcare, având fundul plat. În sectorul D, aşa cum am arătat, s-a cercetat S. XII (27 x 3,5 m), pentru încheierea investigării părţii dintre şanţul de împrejmuire al aşezării Precucuteni III, aleea betonată de N şi pătulul nr. 10, cu atât mai mult cu cât nu suntem siguri că săpăturile vor putea continua mult timp în acest loc. Deoarece proprietarii au început demolarea unor pătule (inclusiv cel cu nr. 10), lăsând doar platformele betonate, am lărgit suprafaţa şanţului până la 3,5 m, dar ne-am confruntat cu o serie de dificultăţi legate de scoaterea a 30 de picioare de pătul care împiedicau săpătura. În suprafaţa cercetată, au fost investigate mai multe complexe arheologice, cum au fost: locuinţa de suprafaţă nr. 9, segmentul vestic al "pavajului" de piatră, aflat la nord de locuinţele cu platformă, sesizat şi în S. IX şi X, şi gropile nr. 41-42, 38, 53-55, ultimele legate de complexul gospodăresc, identificat prin campaniile anterioare. Locuinţa nr. 9, identificată anterior în S. X, spre profilul vestic, între m. 23 şi 26,5, a fost surprinsă, în S. XII, între m. 17 şi 24,5, cu axul lung pe direcţia NNV-SSE, jumătatea sa de SSV continuându-se sub platforma de beton a pătulului nr. 10. A fost construită în nivelul III a (-0,6 m). A avut o formă rectangulară, cu lungimea de aproximativ 7 m. Spre SSE se prelungea cu o mică anexă (pridvor ?), până la m. 27, aceasta având tot o formă rectangulară, cu dimensiunile de aproximativ 2,5 x 3 m. Pe suprafaţa platformei au fost descoperite foarte puţine fragmente ceramice şi materiale osteologice. De asemenea, menţionăm că lipiturile de perete erau destul de puţine, în raport cu elevaţia de altă dată a casei. La demontarea locuinţei şi anexei am observat că multe lutuielile de platformă, care păstrau amprentele, au fost aplicate pe lodbe, cu diametre cuprinse între 9 şi 13 cm, orientate NNE-SSV. Substrucţia platformei pare să fi fost neuniformă, pe lângă trunchiuri despicate utilizându-se crengi de diferite grosimi şi frunze. Aproximativ în centrul său, platforma de lut se află mai sus cu aproximativ 0,15-0,2 m faţă de margini, datorită faptului că pământul era mai tasat iar substrucţia de lemn fusese realizată pentru a asigura orizontalizarea terenului de construcţie şi a putrezit, provocând "lăsarea" podelei. După demontare, sub L. 9 s-au găsit foarte puţine materiale arheologice, numeroasele raderi efectuate pentru identificare eventualelor şanţuri de fundaţie sau gropi de stâlpi, nu au dus la obţinerea de rezultate pentru că suprafaţa era deranjată de numeroasele crotovine, care au bulversat contextul arheologic. Groapa nr. 38, identificată în campania din 2001, în S. X , între m. 1,5 şi 4,8, se continuă în S. XII. A fost săpată din nivelul al treilea de locuire, avea formă circulară neregulată, cu diametrele de 3,3 x 3,1 m; fundul gropii prezintă multe neregularităţi, adâncindu-se treptat, sub forma a două alveolări distincte, până la –1,3 m, în dreptul m. 2,5, şi până la –1,48 m, în dreptul m. 3,6. Umplutura gropii a fost asemănătoare cu a gr. 32/2001, fiind alcătuită din numeroase materiale osteologice, fragmente ceramice, unelte de silex, multe pietre plate – lespezi pentru aşezat, nicovale, râşniţe, resturi de vatră dezafectată. Gropile nr. 41 şi 42, săpate tot din nivelul al III-lea, au putut fi cercetate mai bine în Ş. XII (pl. 6). Astfel, groapa nr. 41, surprinsă între m. 7,92 şi 10,60, avea o formă circulară neregulată, cu diametrele de 2,68 x 1,6 m şi adâncimea de –1,24 m (între m. 9,1 – 10,4). Groapa nr. 42, identificată între m. 11,26 şi 14, avea o formă circulară neregulată, cu diametrele de 2,74 x 1,4 m, cu adâncimea de –1,21 m, între m. 11,26–13. Conţinutul lor era foarte bogat în materiale osteologice de mari dimensiuni şi în ceramică. Gropile nr. 53 şi 54, săpate, probabil, tot din nivelul III a, au fost identificate pe traseul S. XII, între m. 2,83 şi 7,07, fără să putem preciza dacă se intersectau. Groapa nr. 53 este circulară neregulată, având diametrele de 2,2 x 2, 27 m. Fundul gropii se aduna spre profilul vestic, în dreptul m. 4 atingând –1,55 m. Groapa 54, tot circulară neregulată, cu diametrele 2,17 x 1,55 m, atingea o adâncime de –1,4 m în dreptul m. 6. Umplutura lor era alcătuită din materiale ceramice, litice şi osteologice, pe fundul gropilor pământul fiind uşor humificat. Groapa nr. 55 a fost surprinsă doar parţial, sub forma unui arc de cerc, în carourile 1b-d ale S. XII. A fost săpată din orizontul al II-lea, având o deschidere de 1,8 m. Profilul acesteia era în formă de pâlnie, fundul aflându-se la –1,35/–1,4 m de la suprafaţa actuală de călcare. În umplutura sa se găseau multe materiale osteologice, fragmente ceramice, piese litice. Analiza preliminară a materialelor arheologice descoperite în această campanie permite doar câteva observaţii. Astfel, ceramica, foarte fragmentară, se înscrie în tipologia categoriilor şi formelor fazei a III-a a culturii Precucuteni. S-a constatat prezenţa a numeroase fragmente ceramice provenind de la vase din categoria semifină, decorate cu motive incizate specifice. Se remarcă: un picior de vas, de formă tronconică, cu înălţimea de 7,8 cm; un fragment de vas cu picior ce prezintă mai multe fante sau orificii (fragmentul a păstrat trei fante); un fragment de vas de tip "horă"; două fragmente de la vase decorate cu incizii şi pictură roşie crudă; două fragmente ce prezintă la interior urme de ocru roşu, provenind de la vase în care s-a păstrat ocru; trei fragmente de la vase cu perforaţii (de la aşa-numitele "strecurători"); un capac cu buton de mici dimensiuni (înălţimea de 2,88 cm şi diametrul de 5,67 cm), decorat cu caneluri, butonul având aspectul unui "umbo"; două mici butoane provenind de la capace, dintre care unul perforat orizontal. Acestora se adaugă mai multe fragmente de cozi de linguri şi polonice, dintre care trei sunt tratate antropomorf. Tot din lut, în această campanie s-au mai descoperit: un fragment de la un recipient rectangular, tip cutie, cu fundul plat şi pereţii (cu înălţimi cuprinse între 1,86 şi 2,32 cm) decoraţii cu trei şiruri de linii incizate, provenind, probabil, de la o măsuţă-altar, trei picioare de la măsuţe-altar şi o jumătate de la o greutate de lut circulară, plată, cu gaură la mijloc, descoperită în locuinţa L.13, probabil o greutate de la un război de ţesut vertical. Plastica de lut se înscrie şi ea în tipologia clasică a culturii Precucuteni, faza a III-a. În campania din 2004 a fost descoperită o singură statuetă antropomorfă feminină întreagă, restul descoperirilor (27) fiind reprezentate de fragmente, în special de membre inferioare. Acestora se adaugă şi un idol conic, de mici dimensiuni. Sunt lucrate din pastă semifină, cu cioburi pisate în compoziţie, unele fiind decorate cu linii incizate sau împunsături. Cea mai deosebită descoperire o reprezintă un fragment de la o statuetă de mari dimensiuni, care păstrează torsul, cu braţele redate sub forma unor "amorse", şi bazinul. La partea superioară a torsului se păstrează o pastilă de lut şi locul unei alte pastile, sugerând, evident, sânii. Piesa se remarcă prin decorul deosebit, realizat cu linii incizate, care formează diferite motive în funcţie de părţile anatomice. Astfel, pe pântec, în zona inghinală, găsim binecunoscutul triunghi pubian, umplut cu linii oblice; sub sâni, întâlnim câte o linie care se curbează după forma sânilor; pe partea din faţă a torsului se observă, sub sâni, o linie orizontală iar pe pântec un oval cu o linie orizontală la mijloc; pe partea inferioară a torsului se găsesc triunghiuri şi romburi circumscrise; pe fese întâlnim un decor din linii incizate paralele, dispuse în patru cadrane. Acestor descoperiri se adaugă şi un fragment de statuetă zoomorfă, care păstrează capul şi partea superioară a unui mamifer. Din os au fost descoperite atât unelte, cât şi podoabe. Cele mai numeroase unelte sunt reprezentate de aşa-zisele "şlefuitoare" pe metapodale de Bos taurus şi Equus caballus, rezultate, cel mai probabil, în urma folosirii metapodalelor la şlefuitul ceramicii sau a uneltelor de piatră. Au fost descoperite 12 şlefuitoare, dintre care patru întregi. În categoria uneltelor se înscriu şi nouă împungătoare, realizate pe diafizele unor oase tubulare. Dintre acestea se remarcă unul de dimensiuni mari, realizat pe un metapodal de Capreolus capreolus, de la care s-a păstrat partea proximală şi cea mediană, cu lungimea de 9,86 cm; nu este exclus ca piesa să reprezinte o andrea. Podoabele sunt reprezentate de două piese realizate din defense de mistreţ. Prima, de formă dreptunghiulară, cu laturile de 2,78 şi 1,09 cm, păstrează, spre una dintre laturile înguste, o perforaţie circulară, având în secţiune o formă tronconică, cu diametrul mare de 4,8 mm şi diametrul mic de 2,5 mm. A doua piesă păstrează forma naturală a defensei, având marginile şi vârful şlefuite. Pe una din laturi au fost realizate, spre vârf, pe o lungime de 1,15 cm, 12 mici crestături. Partea proximală este ruptă din vechime. În categoria uneltelor litice, cele mai numeroase sunt cele cioplite, majoritatea fiind dată de uneltele de silex (932). Din analiza acestora, se constată folosirea cu preponderenţă a silexului de Prut (91,36%), urmat de silexul de Nistru (4,16%), silexul "balcanic" (3,41%) şi silexul central-moldovenesc (0,53%). Aceste raporturi demonstrează, fără echivoc, folosirea silexului din cea mai apropiată sursă de materie prima, anume silexul din albia Prutului mijlociu. Descoperirea de nuclee epuizate, de percutoare, de o mulţime de aşchii şi deşeuri de debitare dovedeşte o intensă activitate de prelucrare a silexului de Prut în cuprinsul aşezării, fapt posibil numai prin aducerea unei mari cantităţi de bulgări de silex, foarte probabil de către înşişi membri comunităţii de la Târgu Frumos, în urma unor expediţii. Numărul redus de piese de silex de Nistru, "balcanic" şi central-moldovenesc, a căror surse de materie primă se găsesc la distanţe mai mari faţă de aşezarea de la Târgu Frumos, precum şi faptul că nu s-au descoperit nuclee şi deşeuri de debitare, par a afirma, mai degrabă, o procurare a acestor piese pe calea schimbului, care sunt ajung în aşezarea de la Târgu Frumos gata finite. Un număr mic de piese cioplite au fost realizate din alte materii prime. Este vorba, în primul rând, de un fragment de lamă de obsidiană, cu secţiunea trapezoidală şi retuşe pe ambele laturi. Alte câteva aşchii şi fragmente de lamă au fost realizate din gresie silicioasă şi marnă. Dintre tipurile întâlnite, cu excepţia deşeurilor de prelucrare şi a aşchiilor (acestea din urmă folosite şi ele ca unelte), lamele sunt cele mai numeroase; majoritatea sunt neretuşate (84,27% din numărul de lame). Un număr mai mic de lame sunt retuşate pe o latură sau pe ambele, unele prezentând scobituri retuşate (encoche) sau urme de lustru de la folosirea lor ca piese componente de seceră. Nu lipsesc nici lamele cu trunchiere oblică retuşată. Gratoarele reprezintă, după număr, următorul tip de unealtă de silex descoperit la Târgu Frumos (16,43%). Cele mai multe au fost lucrate pe lame cu secţiunea trapezoidală, urmate de cele pe lame cu secţiunea triunghiulară; 14,28% dintre gratoare (2,34% din numărul de unelte cioplite) sunt lucrate pe aşchii. După forma părţii active, întâlnim gratoare semicirculare (convexe), drepte, unguiforme şi duble. Cele două tipuri principale de unelte de silex sunt urmate de categoria străpungătoarelor. Majoritatea sunt realizate pe lame, numai două fiind realizate pe aşchii. Acestea din urmă nu prezintă retuşe, ca de altfel şi şase dintre străpungătoarele pe lamă, acestea prezentând un vârf, obţinut prin cioplire. Celelalte străpungătoare, realizate în majoritate pe lame cu secţiunea trapezoidală, au vârful obţinut prin retuşarea oblică a laturilor lamei; într-un singur caz vârful s-a realizat prin retuşarea doar a unei laturi a lamei, cealaltă fiind spartă oblic. Mai puţine la număr sunt burinele, răzuitoarele şi vârfurile de săgeată. Acestea din urmă, destul de rare în cultura Precucuteni, prezintă retuşe pe ambele feţe, unul având baza concavă şi celălalt sub formă de trapez. Uneltele de piatră şlefuită sunt puţine (14), majoritatea fiind fragmentare. Pentru realizarea lor, cel mai frecvent s-a folosit marna bituminoasă, dar întâlnim şi piese de calcar şi gresie. Ca tipuri de unelte neperforate, întâlnim topoare trapezoidale neperforate, tesle şi dăltiţe. În campania 2004 a fost descoperit un singur fragment de topor perforat, păstrat fragmentar. Una dintre cele mai deosebite piese descoperite a fost un fragment de la o dăltiţă de aramă. Piesa, având secţiunea dreptunghiulară (9,54 x 6,89 mm), păstrează partea dinspre vârf, care este mai îngust (5,35 mm). Pe ambele feţe se poate observa o şănţuire, lată de aproximativ 3 mm, care pare a indica faptul că dăltiţa a fost prelucrată prin turnare. În campania viitoare, colectivul de cercetare al şantierului îşi propune definitivarea cercetărilor în sectorul A. Studiul materialul arheozoologic provenit din campaniile 2003 ŞI 2004 Anca Coroliuc, Sergiu Haimovici Materialul studiat se întinde pe doi ani consecutivi (2003-2004), întrucât unele complexe au fost cercetate de-a lungul celor două campanii. Considerăm că el este destul de bogat, fiind reprezentat prin 6743 resturi animaliere determinate. Acesta a fost considerat mai întâi pe niveluri şi complexe (gropi şi locuinţe), şi din afara lor, şi doar apoi a fost sumat. Tabelul alăturat arată repartiţia sa pe grupe sistematice. Se constată că doar moluştele şi mamiferele au o importanţă economică, celelalte două grupe aproape că nu trebuie luate în seamă. Moluştele sunt reprezentate prin 218 valve de la scoici şi anume Unio şi doar o singură cochilie de melc terestru - Helix. Deci, trebuie considerate doar moluştele lamelibranhiate. Se remarcă că aceste scoici, găsite în diverse complexe în cantitate foarte mică şi deloc în grămezi consistente, au fost adunate totodată de om în mod prădalnic, întrucât alături de indivizi maturi cu valve, să le spunem, normale, s-au găsit, destul de frecvent şi indivizi tineri cu valve având doar o lungime de 2,5 şi chiar 1,5 cm, care, evident, nu puteau proveni de la exemplare a cărui conţinut infim ar fi fost consumat. Credem că aceste lamelibranhiate nu erau deci culese pentru a fi folosite în alimentaţie, ci doar pentru a da, prin pisarea lor, carbonat de calciu, întrebuinţat în procesul de pregătire a ceramicii. În ceea ce priveşte peştii, deşi pârâul Adâncata avea precis o faună piscicolă alcătuită din specii într-adevăr de talie nu prea mare, aceasta nu era aproape deloc exploatată. Acelaşi lucru este valabil şi pentru păsări, care, ce e drept, nu prea existau în zonă sub formă de specii ceva mai mari care ar fi putut deveni comestibile. Mamiferele sunt, deci, singurul grup care era într-adevăr folosit din plin de către locuitorii aşezării. Ele se împart în două grupări, domestice şi sălbatice, neegale ca importanţă considerând frecvenţa lor: mamifere domestice - 5607 resturi, adică 85,98%, şi mamifere sălbatice - 1183 (18,14%), diferenţa de până la 100% fiind dată de către cal (Equus caballus), destul de rar de altfel, 62 fragmente (0,95%), despre care este greu să-l trecem la o grupare sau alta, deşi credem că era, cel puţin, pe cale de domesticire, adică mai mult sacrificat decât vânat. Speciile domestice sunt reprezentate prin taurine, cu frecvenţa cea mai înaltă, 4265 fragmente (65,4% din total mamifere), acestea fiind, totodată, cele mai mari ca talie, grupul ovicaprinelor (ovine şi caprine), cu 720 resturi - 11,03% (primele fiind cam de două ori mai multe decât secundele). Urmează porcinele, cu 278 resturi (4,26%) şi apoi câinele, pe care credem că locuitorii sitului nu-l consumau, cu doar şapte resturi (0,11%), aceasta arătând încă o dată că în precucutenian şi cucutenian el era într-adevăr foarte rar. Dintre sălbăticiuni evidenţiem mai întâi patru specii de artiodactile cu importanţă de prim ordin în economia animalieră: cerbul, cu 429 resturi (6,58% din total mamifere), urmat de mistreţ, cu 327 fragmente (5,01%); vine apoi căpriorul, având 260 resturi (3,98%) şi bourul, cu 162 fragmente (2,48%). Ca mărime specifică, trebuie să le grupăm însă altfel: mai întâi bourul, urmat de cerb şi apoi mistreţ, pe ultimul loc fiind căpriorul Se mai adaugă rozătoare de talie mare pentru acest grup zoologic: iepurele de câmp şi castorul, fiecare cu câte două resturi (0,04%), ambele fiind comestibile. De asemenea, sunt prezente şi carnivorele, reprezentate prin urs, cu trei resturi (0,06%) - probabil tot comestibil -, şi prin vulpe, jder şi bursuc, fiecare cu câte un singur rest (0,02%). Considerând repartiţia mamiferelor pe niveluri, frecvenţele fiind în mare aceleaşi, avem pentru nivelul I, cel mai vechi, 1619 resturi –1288 de la animale domestice şi 338 de la animale sălbatice (calul cu 18 resturi); nivelul II, cel mai bogat, cu 3447 fragmente - domestice 2766 şi sălbatice 648, calul cu 33 resturi –, iar nivelul III cu 1455 resturi, din care 1222 domestice, 222 sălbatice, iar calul cu 11 fragmente; se poate constata însă, cu evidenţă doar scăderea frecvenţei lui Bos primigenius (bourul) în nivelul III. Putem, deci, conchide că creşterea celor patru specii domestice comestibile (taurinele, ovinele, caprinele, porcinele) ocupă un loc de prim rang, dacă nu chiar de bază, în economia locuitorilor aşezării. Vânătoarea avea un rol secundar, deşi era bine circumscrisă, considerând faptul că resturilor speciilor sălbatice se apropie cam de 1/5 din total mamifere şi că trei din cele patru specii de artiodactile le putem considera de talie mare sau chiar foarte mare. Materialul animalier avut la dispoziţie vine totodată să arate destul de bine unele caracteristici ale ambientului din preajma sitului. Mai întâi trebuie să arătăm că pârâul Adâncata, astăzi cu un debit destul de mic, mai ales în perioada de vară, când acesta apare aproape secat, era cu mult mai bine cotat ca sursă permanentă, fiind mai bogat în ape ale căror aluviuni (chiar dacă nu exista o luncă propriu-zisă) sub formă de nămol, erau propice pentru dezvoltarea moluştelor (Unio), către malul apei. Mai mult chiar, prezenţa castorului arată că pe cursul acestui pârâu se puteau ridica acele zăgazuri clădite de specia respectivă, în spatele lor putându-se aduna ape ce erau propice nu numai pentru castor dar şi pentru diverse specii de peşti. Tot prezenţa castorului, stenoec (caracteristic mai ales pentru păduri de esenţă moale ce-i dădeau posibilitatea de a ridica zăgazuri, dar şi de a avea hrană din abundenţă), dar mai cu seamă a speciilor "de pădure", deci tot stenoece, dintre carnivore ursul şi, jderul, dar şi de artiodactile - cerb (ajuns actualmente la noi doar "carpatin"), mistreţ şi mai puţin căprior şi bour, care sunt mai ales de lizieră şi totodată de runc (făcut de oameni), arată că zona din jurul aşezării era, în foarte mare măsură, acoperită de pădure. Aceasta, considerând latitudinea şi altitudinea, era alcătuită din stejărişuri amestecate cu alte specii arboricole, tot de foioase, cea mai bogată şi stratificată asociaţie vegetală de la noi. Desigur, omul tăia pădurea pentru necesităţile sale multiple de lemn şi totodată pentru a avea locul necesar culturilor agricole. Pădurea, în mod natural, se refăcea în timp, zona aşezării fiind deci atunci forestieră, nefiind încă formată acea silvostepă, căreia îi aparţine astăzi regiunea respectivă.
Rezumat:

În 2004 au continuat cercetările arheologice sistematice pe şantierul arheologic-şcoală de la Târgu Frumos - Baza Pătule (a XV-a campanie). Cercetarea din anul 2004 a urmărit completarea datelor referitoare la planimetria celei mai întinse aşezări Precucuteni III (cca. 10 ha), din România, prin continuarea investigaţiilor în sectoarele A şi D, pe care intenţionăm să le explorăm integral. A fost cercetată o suprafaţă de cca. 265 mp, în cuprinsul căreia au fost dezvelite vestigiile a trei locuinţe şi au fost identificate 8 gropi. Printre materialele arheologice descoperite se remarcă: mici butoane provenind de la capace, materiale osteologice, fragmente de cozi de linguri şi polonice (trei sunt decorate antropomorf), un fragment de la un recipient rectangular, tip cutie, cu fundul plat şi pereţii (cu înălţimi cuprinse între 1,86 şi 2,32 cm) decoraţii cu trei şiruri de linii incizate, provenind, probabil, de la o măsuţă-altar, trei picioare de la măsuţe-altar, o jumătate de la o greutate de lut circulară, plată, cu gaură la mijloc, o greutate de la un război de ţesut vertical, o statuetă antropomorfă feminină întreagă, un idol conic de mici dimensiuni, un fragment de la o statuetă de mari dimensiuni, un fragment de statuetă zoomorfă, numeroase unelte ("şlefuitoare" pe metapodale de Bos taurus şi Equus caballus, rezultate, cel mai probabil, în urma folosirii metapodalelor la şlefuitul ceramicii sau a uneltelor de piatră, nouă împungătoare, o andrea, uneltele de silex etc) şi podoabe (două piese realizate din defense de mistreţ). Una dintre cele mai deosebite piese descoperite a fost un fragment de la o dăltiţă de aramă. În campania viitoare, colectivul de cercetare al şantierului îşi propune definitivarea cercetărilor în sectorul A. Raportul este secondat de un studiu efectuat pe materialul osteologic rezultat din campaniile anilor 2003-2004 şi care prezintă concluzii interesante referitoare la alimentaţia şi ocupaţiile populaţiei Precucuteni.